We found 0 results. View results
Your search results

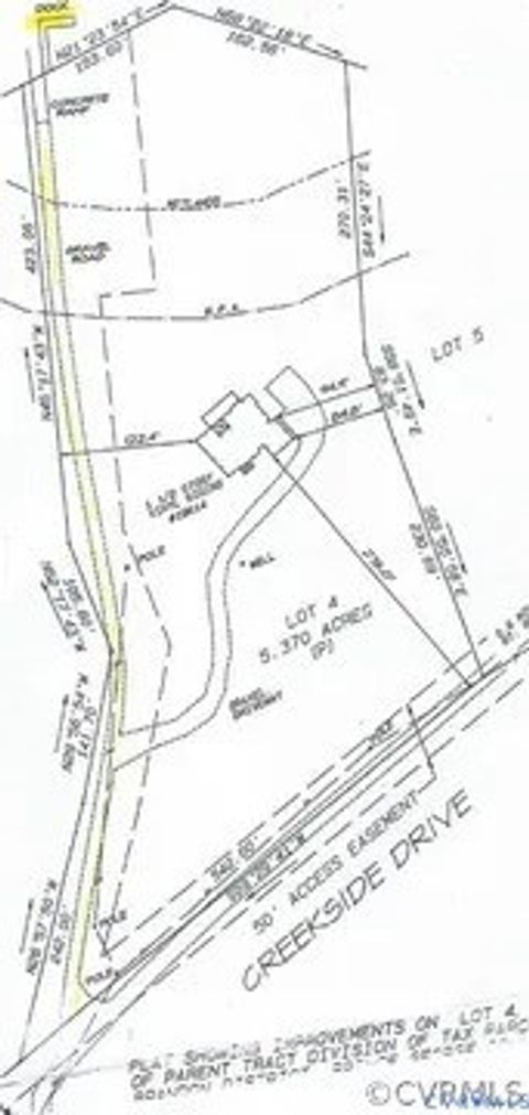
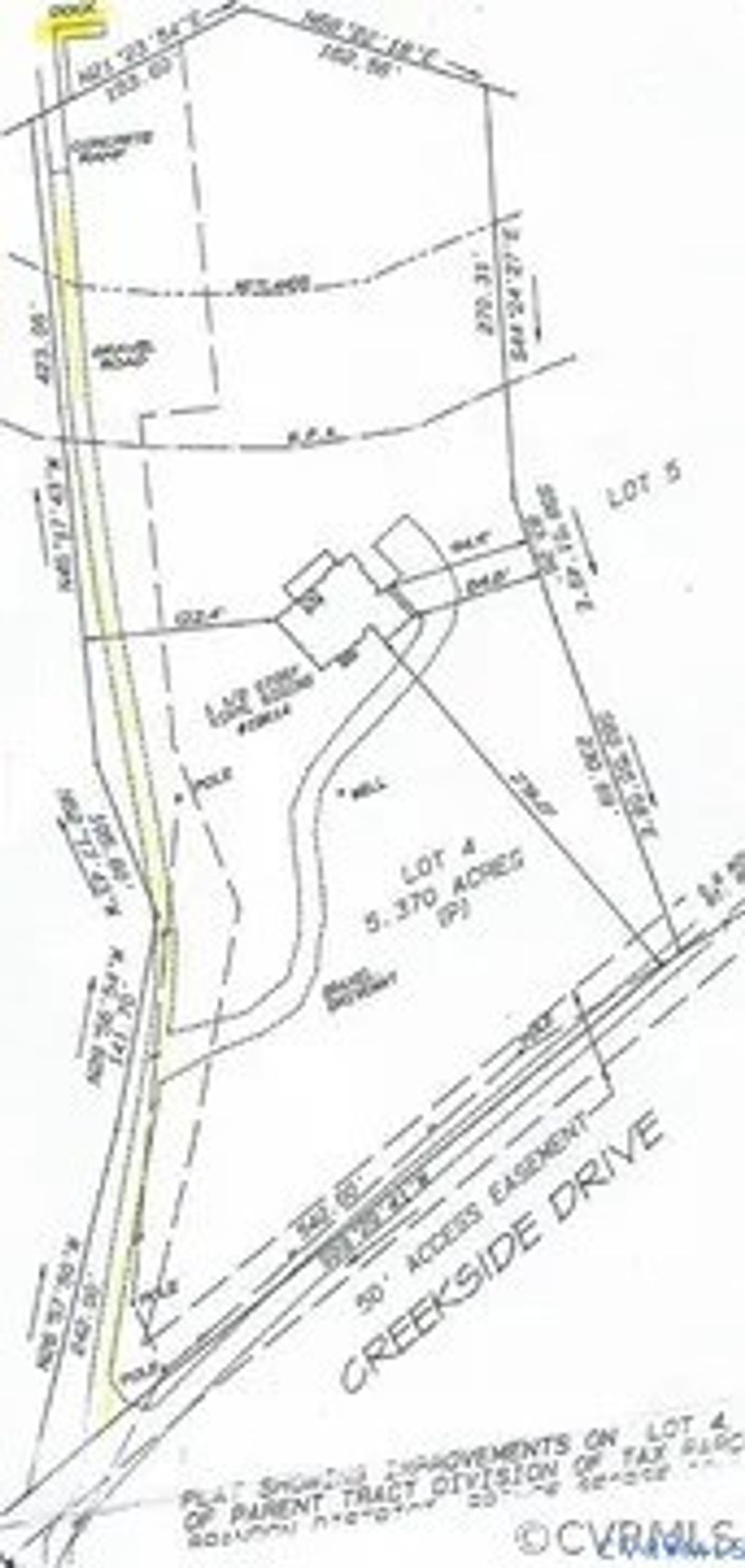
19614 Creekside Drive, Prince George, VA 23881 (MLS # 2610012)

Posted by gwddev on | | 0
Save to Favorites
Print
Share

WATERFRONT LIVING on 5+ acres-this is the one you've been waiting for. Nestled along Wards Creek with direct access to the James River, this gorgeous custom home offers the perfect lblend of space, comfort, and lifestyle. From the moment you step inside, you're greeted with soaring 10' ceilings, a bright and open layout, and a stunning great room with a gas fireplace- perfect for cozy nights or entertaining guests. The main level features a spacious primary suite with a full bath and walk-in closet, plus two additional bedrooms connected by a jack and jill bath. You'll also love the formal dining room, dedicated office, and a beautiful Florida room that leads out to a screened porch and large deck- ideal for enjoying peaceful waterfront views. Downstairs, the fully finished walk-out basement is a game changer, complete with a kitchenette, family room, craft/hobby space, bedroom, full bath, second laundry, movie room. Making it perfect for an in-law suite. Outside, enjoy 5.37 acres of privacy, a 2-car attached garage and access to a community dock. Bringing the best of the outdoor living right to your doorstep. Rather you are hosting, relaxing, or making the most of rive life, this home truly has it all. Opportunities like this don't come around often.

DAYS ON MARKET 5 LAST UPDATED 4/18/2026
TRACT None YEAR BUILT 2007
COMMUNITY 58 - Prince George GARAGE SPACES 2.0
COUNTY Prince George STATUS Active
PROPERTY TYPE(S) Single Family

SCHOOLS
Elementary School North
Jr. High School Moore
High School Prince George


ADDITIONAL DETAILS
AIR Electric, Zoned
AIR CONDITIONING Yes
APPLIANCES Dishwasher, Electric Water Heater
AREA 58 - Prince George
BASEMENT Finished, Full, Walk-Out Access, Yes
CONSTRUCTION Brick, Frame, Vinyl Siding
FIREPLACE Yes
GARAGE Yes
HEAT Electric, Propane, Zoned
HOA DUES 300|Annually
INTERIOR High Ceilings, Kitchen Island, Master Downstairs, Pantry, Recessed Lighting, Walk-In Closet(s)
LOT 5.37 acre(s)
LOT DIMENSIONS 5.37
PARKING Unpaved, Attached, Driveway, Garage, Paved
POOL DESCRIPTION None
SEWER Septic Tank
STORIES 1
STYLE Transitional, Two Story
SUBDIVISION None
TAXES 5201.26
VIEW Yes
VIEW DESCRIPTION Water
WATER Well
WATER ACCESS wards Creek/james
WATERFRONT Yes
WATERFRONT DESCRIPTION River Front, Waterfront Access, Waterfront
ZONING A-1
MORTGAGE CALCULATOR
   

TOTAL MONTHLY PAYMENT

0
P
I
*Estimate only

SATELLITE VIEW



 
CONTACT US ABOUT 19614 CREEKSIDE DRIVE
 / 
We respect your online privacy and will never spam you. By submitting this form with your telephone number you are consenting for Baker Ellett to contact you even if your name is on a Federal or State "Do not call List".

Listed with Real Broker LLC

All or a portion of the multiple Listing information is provided by the Central Virginia Regional Multiple Listing Service, LLC, from a copyrighted compilation of Listings. All CVR MLS information provided is deemed reliable but is not guaranteed accurate. The compilation of Listings and each individual Listing are ©2026 Central Virginia Regional Multiple Listing Service, LLC. All rights reserved.

IDX information is provided exclusively for consumers’ personal, non-commercial use, that it may not be used for any purpose other than to identify prospective properties consumers may be interested in purchasing

Last Updated: 4/23/26 1:34 AM PDT

This IDX solution is (c) Diverse Solutions 2026.

  • Mortgage Calculator

Compare Listings