We found 0 results. View results
Your search results

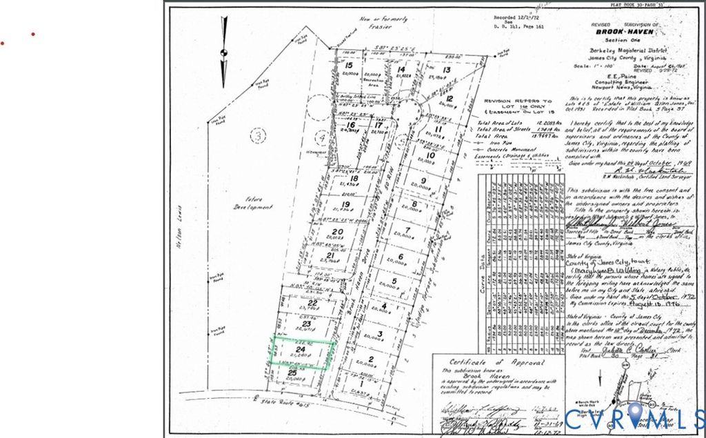
102 Brookhaven Drive, Williamsburg, VA 23188 (MLS # 2601631)

Posted by gwddev on | | 0
Save to Favorites
Print
Share
PRICE $84,900 dsIDX morgage calculator
BEDS 0
BATHS 0
HOME SIZE n/a
LOT SIZE 21,258 sqft

Build your dream home in the established Brook Haven subdivision of James City County! This vacant 0.488-acre (approx. 21,257 sq ft) residential lot offers a rectangular shape that's ideal for efficient site planning and construction. Zoned R-2 General Residential, the property is intended for single-family use and is located in a neighborhood with surrounding homes already in place. Recorded on the original Brook Haven Section One plat (Plat Book 30, Page 31, dated December 12, 1972), this lot offers clear boundary documentation and subdivision recognition Conveniently located near schools, shopping, and major routes, this lot is perfect for builders, investors, or anyone looking to create a custom home in Williamsburg. Low annual holding costs add to its appeal.

DAYS ON MARKET 5 LAST UPDATED 1/22/2026
TRACT Brookhaven YEAR BUILT 0
COMMUNITY 120 - Williamsburg COUNTY Williamsburg
STATUS Active PROPERTY TYPE(S) Lot/Land/Acreage

SCHOOLS
Elementary School Clara Byrd Baker
Jr. High School Berkeley
High School Lafayette


ADDITIONAL DETAILS
AREA 120 - Williamsburg
LOT 0.488 acre(s)
SEWER Public Sewer
SUBDIVISION Brookhaven
TAXES 286.77
UTILITIES Water Connected, Natural Gas Not Available, Phone Not Available, Electricity Available
WATER Public
ZONING R2
MORTGAGE CALCULATOR
   

TOTAL MONTHLY PAYMENT

0
P
I
*Estimate only

SATELLITE VIEW



 
CONTACT US ABOUT 102 BROOKHAVEN DRIVE
 / 
We respect your online privacy and will never spam you. By submitting this form with your telephone number you are consenting for Baker Ellett to contact you even if your name is on a Federal or State "Do not call List".

Listed with NextHome Advantage

All or a portion of the multiple Listing information is provided by the Central Virginia Regional Multiple Listing Service, LLC, from a copyrighted compilation of Listings. All CVR MLS information provided is deemed reliable but is not guaranteed accurate. The compilation of Listings and each individual Listing are ©2026 Central Virginia Regional Multiple Listing Service, LLC. All rights reserved.

IDX information is provided exclusively for consumers’ personal, non-commercial use, that it may not be used for any purpose other than to identify prospective properties consumers may be interested in purchasing

Last Updated: 1/24/26 4:52 AM PST

This IDX solution is (c) Diverse Solutions 2026.

  • Mortgage Calculator

Compare Listings