We found 0 results. View results
Your search results

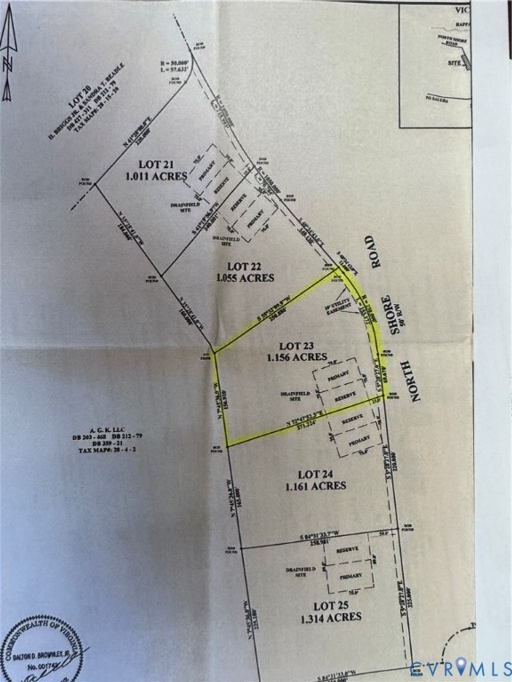
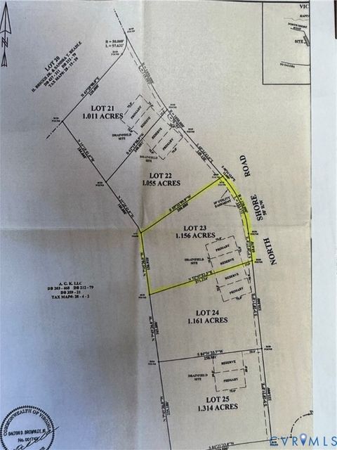
Lot 23 N Shore Road, Locust Hill, VA 23092 (MLS # 2522181)

Posted by gwddev on | | 0
Save to Favorites
Print
Share
PRICE $80,000 dsIDX morgage calculator
BEDS 0
BATHS 0
HOME SIZE n/a
LOT SIZE 1.16 ac

Located in the Locust Hill area of Middlesex County, this beautiful level lot is just over an acre and ready for your custom home. The land is open pasture"”ideal for building"”and sits in a quiet water access community. Enjoy access to the neighborhood's common dock, perfect for fishing or relaxing by the water. There is a minimum home size requirement of 2,400 sq ft, preserving the quality and character of the neighborhood. You can bring your own builder or work with ours to create the home you've been dreaming of. A peaceful, scenic spot close to the river"”don't miss this one!

DAYS ON MARKET 80 LAST UPDATED 8/7/2025
TRACT North Shore YEAR BUILT 0
COMMUNITY 112 - Middlesex COUNTY Middlesex
STATUS Active PROPERTY TYPE(S) Lot/Land/Acreage

SCHOOLS
Elementary School Middlesex
Jr. High School Saint Clare Walker
High School Middlesex


ADDITIONAL DETAILS
AREA 112 - Middlesex
HOA DUES 400|Annually
LOT 1.156 acre(s)
SEWER None
SUBDIVISION North Shore
TAXES 251.32
UTILITIES Natural Gas Not Available, Electricity Available, Sewer Not Available
WATER Well
WATERFRONT DESCRIPTION Waterfront Access
ZONING LDR
MORTGAGE CALCULATOR
   

TOTAL MONTHLY PAYMENT

0
P
I
*Estimate only

SATELLITE VIEW



 
CONTACT US ABOUT LOT 23 N SHORE ROAD
 / 
We respect your online privacy and will never spam you. By submitting this form with your telephone number you are consenting for Baker Ellett to contact you even if your name is on a Federal or State "Do not call List".

Listed with Hometown Realty

All or a portion of the multiple Listing information is provided by the Central Virginia Regional Multiple Listing Service, LLC, from a copyrighted compilation of Listings. All CVR MLS information provided is deemed reliable but is not guaranteed accurate. The compilation of Listings and each individual Listing are ©2025 Central Virginia Regional Multiple Listing Service, LLC. All rights reserved.

IDX information is provided exclusively for consumers’ personal, non-commercial use, that it may not be used for any purpose other than to identify prospective properties consumers may be interested in purchasing

Last Updated: 10/23/25 11:45 AM PDT

This IDX solution is (c) Diverse Solutions 2025.

  • Mortgage Calculator

Compare Listings